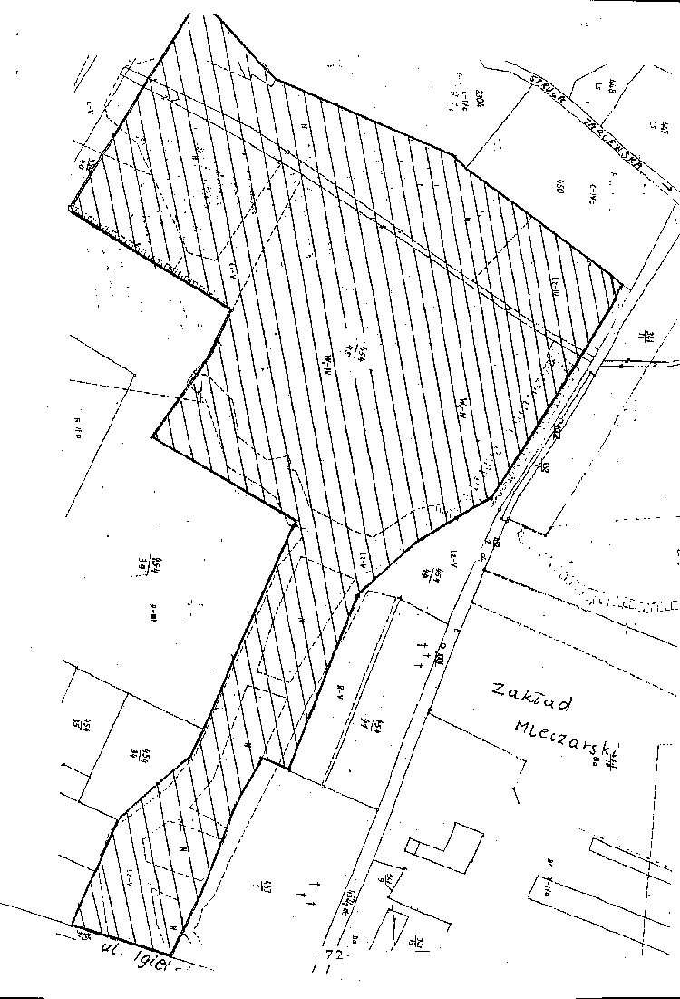
Na najbliższej sesji Rady Miejskiej (21.03.) będzie głosowana uchwała w sprawie zbycia nieruchomości gruntowej położonej przy ul. Igielskiej. Teren ma ponad 4 hektary.
17 marca 2011 18:01Znajduje się w dolinie Strugi Jarcewskiej, w pobliżu tzw. cmentarza francuskiego i Zakładu Mleczarskiego. Początkowo działka obejmowała większy obszar, ale zmniejszono ją o teren zajmowany przez kolektor deszczowy i dziesięciometrowy pas gruntu przylegający do drogi wiodącej w stronę Lasku Miejskiego. Biegnie ona pomiędzy ogrodzeniem mleczarni, a dawnym cmentarzem. Obecnie, jak poinformował nas dyrektor Wydziału Gospodarowania Przestrzenią Jacek Marczewski, na tej działce zlokalizowane są m.in. stawy. Dzierżawione są przez firmę Andrzeja Skiby, która je uporządkowała. Po przyjęciu uchwały przez radnych zostanie wykonana wycena i ogłoszony przetarg.
Zgodnie z przyjętym w marcu 2010 planem zagospodarowania przestrzennego dla tego rejonu miasta, omawiany teren jest przeznaczony dla zieleni i wód stojących. Można na nim urządzać m.in. „wszelkie formy zagospodarowania terenu związane z rekreacją i wypoczynkiem (m.in. place zabaw dla dzieci, ścieżki zdrowia, trasy rowerowe, trasy konnych przejażdżek, urządzenia sportowe i inne towarzyszące).” Możliwe jest też rolnicze lub ogrodnicze wykorzystanie pozyskanej nieruchomości.
(je)

CHOJNICE.COM
© Copyright Chojnice.com 2016. Wszelkie prawa zastrzeżone. Wykonanie:
Portale internetowe
NO COMMENT
kolesiostwo cd..
remont ul. Igielskiej sprzedaż pobliskich terenów jakoś dziwnie zbiega się z końcem budowy willi Pana S. w tym samym miejscu, nie ładnie Panie Jacku tak załatwiać prywatne interesy kolegów za pieniądze podatników
Ciekawe, czy zostanie teren pod możliwą trasę drogi przez ten teren w kierunku lasku i dalej do Chojniczek? Może okaże się, że jak będzie taki projekt, to zostanie odkupiony pas za dużo większe pieniądze???
ZAZDROŚĆ PRZEZ WAS PRZEMAWIA.
raczej pogarda wobec kolesiostwa i korupcji
to dobrze z pan Skiba to wykupi po zrobi porzadek i to wlasciwie zagospodaruje dla dobra wszystkich Chojniczan widac efekty dotychczas na ziemi zagospodarowanej przez wlasciciela
A na czym polega to dobro wszystkich chojniczan ? Bo niespecjalnie to dostrzegam.
nie wiem czy to przypadek albo moja wybujała wyobraźnia, ale za kadencji Pana M. sprzedano w podejrzany sposób grunty przylegające do terenów mieszkalnych firmom zajmującym się przemysłem i tak na przykład mając dzielnicę przemysłową na obrzeżach miasta w środku Chojnic teraz stoją zakłady rybne i mięsne, przy osiedlu mieszkalnym stoi producent kostki brukowej i zbliża się do nowo budowanych bloków, znajdziemy też producentów betonu, uciążliwy hałas i inne niedogodności są jednak żadnym argumentem dla tego Pana, żeby lokować te firmy poza miastem, teraz sprzedawany jest teren przy stadninie koni Pana S. i pewnie dziwnym trafem on zwycięży przetarg; dziwię się, że jeszcze CBA nie zajrzało do UM w Chojnicach bo to wszystko wygląda na na ustawki i w dużej mierze na działanie szkodliwe przynajmniej dla mieszkańców
sorki , pomylka. nie doczytalem. ten teren nie jest na sprzedaż.
a co z tym cmentarzem ? jezeli tam sa jakies szkielety ,a na pewno sa to co z nimi ? ekshumacja? jezeli tak to gdzie spoczną ci francuscy żołnierze.
Przystąp anonimie do przetargu nieograniczonego to może kupisz!
"Można na nim urządzać m. in. (...) trasy konnych przejażdżek(...)". Już wiadomo kto ma ten teren kupić, szczególnie, że teren przylega do willi. Ręce opadają. Mogli by te swoje interesiki subtelniej załatwiać.
niech sobie te jego koniki biegają po tym wybiegu a nie po Lasku Miejskim ...ścieżki za*****ne przez konie bo bogatemu wszystko wolno! ...dzieci strach puszczać bo konie mogą stratować ! ...może tak od razu zaproponować temu panu wykup całego Lasku Miejskiego?!